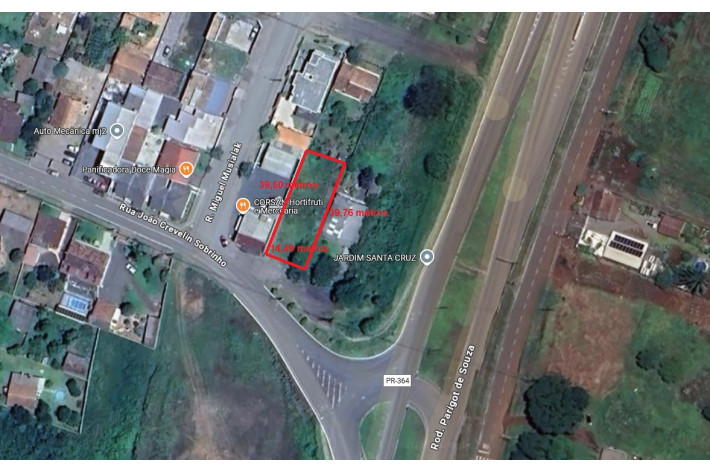
Rua João Crevelin Sobrinho, Palmeirinha, São Mateus do Sul, Paraná
Área do terreno: 574,14 metros (14,49m x 39,50/39,76)